串本( 備前・住崎・グラスワールド )

 PILさん、GMYさんと、昨日に続き串本。


今日も良い コンディション。
備前にエントリーすると、キビナゴがいっぱい。

透視度もよく ワクワクしながら、はりきってカメラの電源を入れるが入らない。
間違えて、違うカメラをハウジングに入れていました。

そりゃあ、ダメだよね …(/・ω・)/

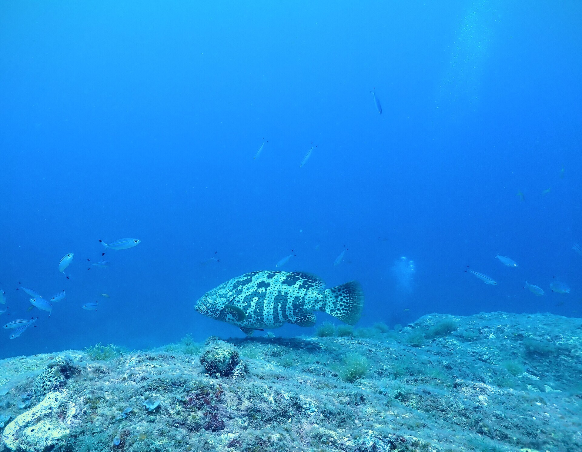
2本目は住崎。

メインの根の上には見慣れない魚が。

P8050236~2.JPG

カスリハタかな…

P8050234~2.JPG

串本では初めて見ました。

黒潮が近づいている影響でしょうか。
今の海況、楽しすぎます。

https://osaka-sds.blogspot.com/

コメント

このブログの人気の投稿

串本( 住崎・イスズミ礁 )

串本( 2の根・住崎・備前・イスズミ礁 )

伊戸( シャークシティー・セントラル × 2 )